Hi. Im on a limestone area… i don’t know the specific soil pH… well i want to have the most i can so i don’t plant on a regular space net and i plant the most dense i can… then i use micro-climate areas to grow tropicals, sub-tropicals and citrus on more protected areas and those more hardy on more exposed areas.
Some more… Chrysophyllum Januariense, Psidium sp Aporá, Myrciaria sp Nara.
Then we both have… ![]()
I’m not going to chase after loquats. The most interesting ones I received last year for my climate were the Spring Flower 1 and 2. This year I asked for persimmons, some pears (new varieties), a cherry, a little kiwi, but probably not eriantha.
Yes like me. Im getting everything… all types tropicals too. Some trees are already big.
Do you guys have snow white and spring flower loquats? Any feedback so far?
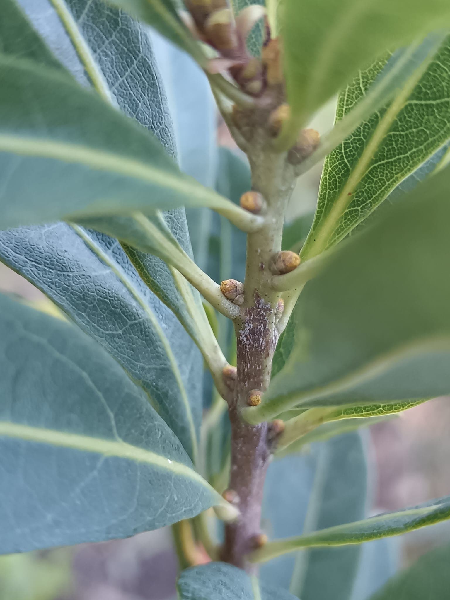
Yes i have. I plant it this year and as you can see on my pics, no flowers yet… ![]()
Yes, the leaves are smooth and glossy.
This is my spring graft of Spring Flowers 2, the more vigorous of the two, and the leaves are shorter.
I turned those things down three years ago. They were offering me eight varieties of grafted Yangmei. But it freezes where I live…
Yes im lucky that i can grow them here with no problem and some tropicals too… i will have 8 varieties as trees and next spring will graft others on my seedling trees.
1 - Rosa Pink Lady Jaboticaba(露莎红粉佳人)(Plinia Phitrantha - cv Rosa de Pescoço)
2 - Big Giant Red Crystal Jaboticaba(大巨红水晶)
3 - Da Hong Pao Jaboticaba(大红袍)(Big Red Robe)
4 - Plinia cauliflora (Mucuri)(穆库里)
5 - Variegated Flame Red Bud Crown(斑叶火焰红芽)(Paulista Variegata?)
6 - Giant Cambucá Jaboticaba(大肯布卡)
7 - Supreme Crown Jaboticaba(极品皇冠)
8 - Argentina Variegata(斑叶阿根廷)
9 - T8 (波浪叶T8)(Waved Leaf Coronata?)
10 - Blanca (布兰卡)?
11 - Spire(史必瑞)(Spirito-Sanctensis, Peluda de Cruz)
12 - escar(已结果树)(Scarlett)
13 - 全锦皇冠嘉宝果 ?
14 - 七彩大斑嘉宝果/斑叶红妃嘉宝果 (Big Spot Colorful Four Seasons, Variegated Waved Leaf Hybrid)
15 - Green crystal(绿水晶死亡补发)
16 - Café rajada(咖啡嘉宝果)
17 - Golden Edge(金边嘉宝果)
18 - Ruby Red(台湾红宝石嘉宝果)
19 - Red Lanthern(红灯笼嘉宝果)
20 - Mengdu
21 - Sweet Golden Lingnan Mangosteen(黄金岭南)
22 - Akumi mangosteen(阿库蜜山竹)
23 - Achachairu mangosteen(阿恰恰山竹)
24 - Black rio grande do sul cherry(巴西樱桃)
arriving…
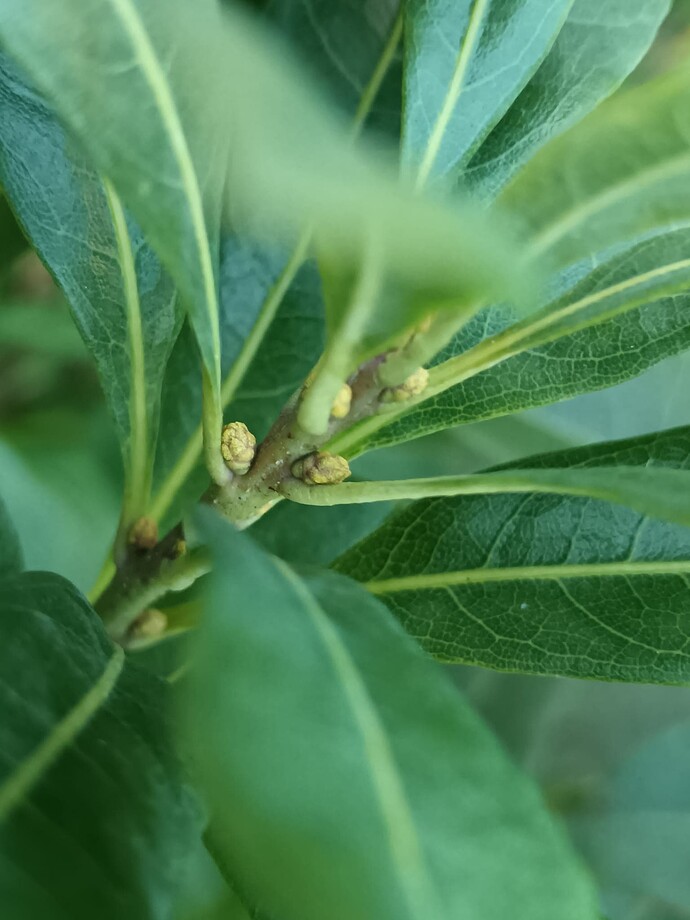
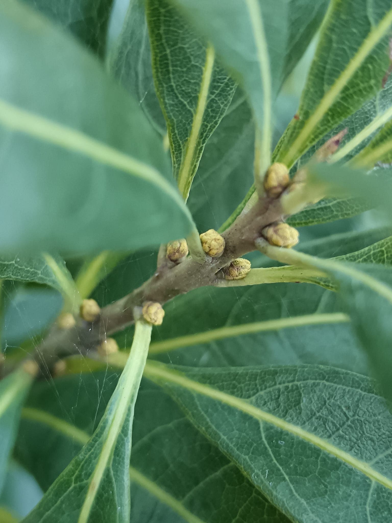
WOW! Confirmed! They are the first flower buds on my trees… on several varieties! ![]()
Planning to plant them outside?


































