I have a persimmon tree that’s about 25-30 feet tall. It produces plenty of flowers every year, but it hasn’t borne any fruit since I planted it a few years ago. All the flowers eventually drop without setting fruit. Unfortunately, I’m not sure which variety it is. Do you have any suggestions?
Do you have any pictures? It might be a male. If I remember right male flowers are usually in little clusters and female flowers aren’t.
Looks at the flowers. If it is in the cluster of 3 flowers then it is a male tree. If it is a single flower on each node then it is a female persimon tree.
Tony
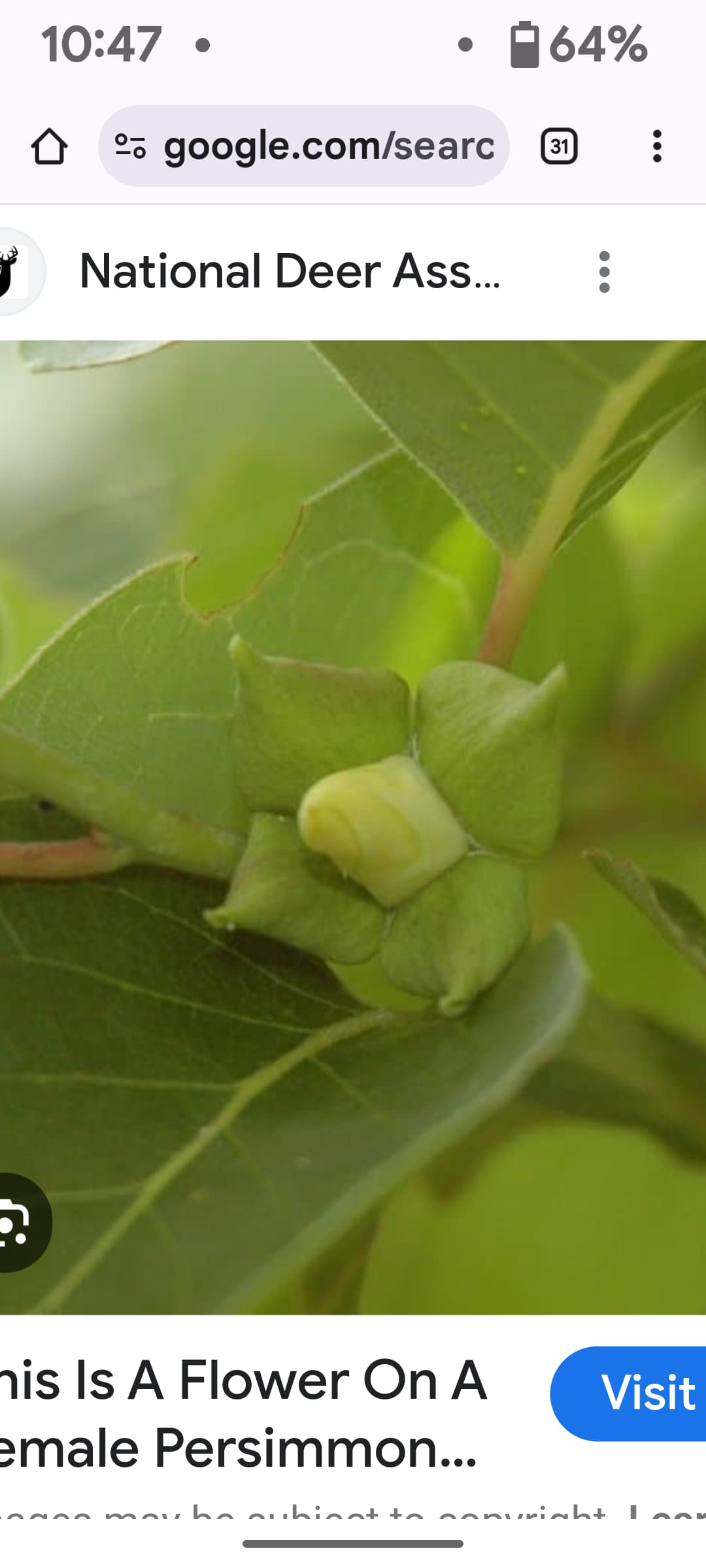
Here is one image @treefrogtim @tonyOmahaz5
Here is another image @treefrogtim @tonyOmahaz5
If I have a male persimmon tree, should I plant a female tree nearby to get fruit? Also, how can I tell whether a young persimmon tree is male or female when buying it?
Unfortunately your tree flowers looks like a cluster of flowers. It may be a male tree. If that the case then you need to graft a few different female varieties to that monster tree with lots of branches to work with.
Your flowers in a cluster
Here is a normal single female flower
Tony
I had the same thing. It gives you a good opportunity to graft multiple varieties onto the same tree. It’s up to you if you want to keep male branched on the tree
You can’t tell until it is flower. You can buy or trade female persimmon scion to graft or buy a female varieties. Cliff England at England orchard still have lots of persimmon scions for sale at nuttrees.net.
Tony
You don’t need the male parts for anything. I would cut the trunk at 3-4’, throw away the top (maybe you could find a use for that nice straight trunk?), and then execute 3-4 bark grafts using scions named female varieties – American, Asian, and/or hybrid. Your options are open.
How to graft a persimmon tree? I have never done that before. Any suggestions? @tonyOmahaz5 @jrd51 @jrd51
I’m not sure if he works persimmons trees or not but grafting is fairly universal for most trees. Certain techniques work better for different things. Search ‘Jsacadura’ on YouTube. He is a master at his craft and has very relaxing and informative tutorial videos on many techniques.
There are many different techniques but luckily we can simplify: With a tree that big, totally re-worked, the best option is bark grafts. Luckily for you, it’s easy.
I agree with @RosesAndApples – google Jsacadura, looking for any instructions he’s given on bark grafts. Piece of cake.



