by “here” do you mean southern california? i mean, we don’t have any native ficus here, but there are probably quite a few strangler figs being cultivated here. for example, i have ficus aurea, ficus virens and others.
@Richard recently i tried grafting ficus sycomorus (gnaphalocarpa) onto a different ficus sycomorus (shikma balami), but the graft didn’t take. assuming my technique wasn’t faulty and the conditions were suitable, would you think there’s a taxonomic problem if these two varieties of the same species were graft incompatible?
But you’ve already pointed out there is not much demand for Ficus hybrid discussions.
I agree. That’s why I’ve learned how to use the search facility.
Check the context of my discussion with sharq.
That’s false, check my earlier discussion with sharq.
Yes, that’s what I mentioned to sharq.
I think it’s more likely one is mislabeled, e.g. Ficus congesta.
How many times have you tried the auriculate / carica graft? I tried once, both ways. The auriculata on carica looked good for a while but I did the grafting last September and I think late in season may have caused it to ultimately fail. The graft on auriculata flooded out, and could be tried again but relieving sap pressure below first.
I would like to know if you’ve grafted carica to ficus carica x pumila? I have thought it could be cool to have a multi grafted vine fig.
For the record was able to chip bud VDDB on panache mid September and already have leaves, so when they are compatible it can be very quick.
Lastly, what is compatible with auriculata? Perhaps sycomorous?
if correctly guessing demand was so easy we’d all be rich. i can guess that there’s more demand on this forum for a fig category than a cider category. but is my guess correct? the proof is in the pudding.
imagine we’re in the philippines and we stumble on a ficus filled with ripe figs. we don’t recognize the ficus. sure, we could sit around trying to guess how the figs taste but it would make more sense to simply taste one. it’s not like there are any poisonous figs (famous last words?)
this forum, like all forums, needs donations to stay afloat. and it needs to decide which categories to create. so donations should be used to decide, as a group, which categories would be the most useful. then, and only then, would the supply of categories reflect the actual demand for them.
that’s an interesting possibility. to be clear, i have ficus sycomorus (gnaphalocarpa) and ficus sycomorus (shikma balami) both happily grafted onto a third sycomorus (jsn).
haven’t had a chance yet to try grafting my ficus sur or ficus racemosa onto any of my sycomorus varieties. but i did try grafting ficus hispida onto sycomorus (jsn), sycomorus (cocculifolia) and carica. sadly none took.
please let me know if you know of, or run across, a source for ficus congesta.
let me know if you’re ever interested in experimenting with interspecific ficus grafting. i’m in vista pretty often and i’d be more than happy to donate rootstocks and scions. it’s like a really fun and informative puzzle. lots of little puzzle pieces. if we can put them all together correctly the picture will be amazing, i’m sure.
@epiphyte, if I mail you a donation, will you drop this idea of voting with donations?
If you want to breed plants, do so. If you don’t want to, don’t. If it’s money you want, get a job.
i’ve tried maybe like 4 scions of maybe 2 different auriculata varieties on several different carica varieties. nothing even close. then again, auriculata has a fairly wide distribution so perhaps there are many different varieties. one might be compatible with one out of countless carica varieties.
next year we need to put some carica pollen in all your auriculata figs. then we should cross our fingers but perhaps not hold our breath.
not sure what is graft compatible with auriculata. mike fons (figfair.com) and i tried grafting one auriculata scion onto his sycomorus (shikma balami) but it didn’t take.
i have pumila x carica but haven’t tried grafting anything on it yet. i do have pumila grafted onto carica though. what would pumila make a good interstock for?
coincidentally, my friend just shared this article with me… Down from the Mountains: Jelly Figs’ Journey to the Lowlands. those pumila figs are huge! would love to see it crossed with carica.
personally i’ve spent a ton of time scratching my head staring at ficus cladograms. they are all different. here’s one.
that particular phylogenetic tree puts ficus erecta a lot closer to carica than sycomorus, but sycomorus (cocculifolia) is far more graft compatible with carica than erecta is.
there seems to be a misunderstanding. i’m not trying to encourage people to make donations to me. i’m encouraging people to donate to this forum, which is a public good, so it’s subject to the problem of free-riding. free-riding is a real problem otherwise taxes wouldn’t need to be compulsory. we can’t reasonably expect people to voluntarily donate the correct amount for any public good.
fortunately it’s the case that donations can be incentivized. we all want different forum categories, so people would have more incentive to donate (to this forum) if doing so determined the supply of categories. this way the amount of donations this forum received would be a lot closer to the optimal amount. and the supply of categories would be optimal.
hopefully this clears up the misunderstanding. feel free to let me know if you have any questions about economics or fig hybridization. economics is the only topic that i’ve studied more than fig hybridization.
That’s a false assumption. The administrator who establishes the site can simply use defaults.
That’s also false. A percentage of members here would be happy with a single category – per discussions in the early days of its existence.
Where did you study economics and what degree did you earn?
Mass democratization tends to go poorly, see California’s referendum system and how many bad laws that’s created and how terrible costs of living have gotten there partially as a result of popular referenda. I’m more of a limited monarchist myself. I’d say this forum, and most things, works best when a single individual is ultimately in control. In this case Scott. That lends itself to coherent decision making, long term planning, and in general to more cohesion and holistic processes, and for sure more introspection and learning from past mistakes and successes. Rule of the (monied) mob is… always terrible.
Anyway, that’s all I’m willing to contribute to this way off-topic question. If you want to restructure the entire forum and forum governance, make your case in an “About this forum” thread, don’t use a “General Fruit Growing” thread for something that is utterly divorced from actual fruit growing. Let’s keep this thread on-topic: breeding interspecific hybrid figs, not a “let’s turn the forum into a money-buys-you-votes-democracy” discussion for the n-th time.
Ok.
In this case, were you trying to graft the gnaphalocarpa scion onto the shikma balami wood grafted on your jsn?
here’s a simple economics quiz…
1. determining demand is just as important for public goods as it is for private goods.
a. true
b. false
2. which method is more effective at determining demand?
a. discussion
b. donations
please share this quiz with as many economists as you like.
i received my bachelors degree in international development from ucla. basically i studied why some countries struggle to develop. this entailed studying quite a bit of economics. really the only correlation was free-trade. after i graduated i studied economics informally, a lot.
the closest thing i have to a superpower is digging, both literal and figurative. it’s how i unearthed that 30 year old paper about ficus hybridization. it’s also how i unearthed buchanan’s fundamentally important, but also very overlooked, 60 year old paper about public finance. i shared it with you. did you read it?
today i searched for interspecific ficus grafting. the 1st result was an ourfigs thread that i had overlooked… Inter-species fig grafting? i’m guessing that you also overlooked that thread?
for some reason @a_Vivaldi is under the impression that the topic of how information is organized is “utterly divorced” from the topic of fig hybridization. nothing could be further from the truth. poorly organized information is the bane of humanity’s existence. when society continually and constantly overlooks the most useful information then we all suffer greatly. we all miss out on so many wonderful things that should exist, but do not, such as countless fig hybrids.
don’t take my word for this. please share that mini economics quiz with every economist you can find and share their answers with us.
Sorry, but I just gotta say, look at what’s happened to this thread. I opened it to read about an interesting subject on figs, but instead I’ve found utter disarray. Why do I have to deal with reading through a bog of forum politics just to find out about fig hybridization? I’ve stuck to it, but trying to decipher anything pertaining to figs when it’s buried in posts that are mostly useless to what I’m looking for is exactly how I could overlook useful information. I understand what you’re arguing for may effect this topic, but I don’t think grouping it within this “general fruit growing” thread makes for organized information. Please, if I want to know more on the subject, I’d expect to find it where it belongs in the “About This Forum” category. That way, if I so wanted to, I can try to better understand your argument instead of just finding it an annoyance. Lets just move on if there’s still hope we can salvage this thread, I was enjoying the fig discussion.
@epiphyte
It seems you are unfamiliar with Arrow’s Theorem. One of its conclusions is that capitalism is neither fair nor equitable, and therefore should never be used in a voting system.
this evening i spent like 4 hours hand watering fruit trees and a bunch of other plants. my feet were cold and wet, my pants were soaked, it was physically exhausting dragging the hose around and trying to yank it free whenever it got caught on something. and it kinked left and right. my garden is an obstacle course with shelves and branches and pots everywhere. it’s a hot mess because all the time i don’t spend fixing it up i spend studying things like fig hybridization and conducting experiments.
would i like to have rare fruits without the cost of spending time watering? yeah. of course, but here and now the two things are bundled together. i’ve been dreaming of getting 10 acres in central florida. 40"+ of rain, in the summer, sounds like heaven. but of course there’s hurricanes and freezes. always trade-offs.
you want fig hybridization information without the cost of having to learn economics. here you go…
1950 - pumila x carica
2012 - carica x erecta
2017 - auriculata x carica
that’s the timeline of carica crosses and the associated papers. since you’re interested in the topic, are you going to read all those papers? is it ok if i point out the economic fact that they are all paywalled? or do you need me to start a new thread to discuss this fact? if so, would you read it?
for comparison, here’s a bunch of completely free information and pics about ficus hybridization. is it ok if i point out the economic fact that there’s ads everywhere on that page? or do you need me to start a new thread to discuss it?
this thread, in comparison, isn’t paywalled, and there aren’t any ads anywhere, so it would be perfect, if it wasn’t for all the economics, right? the irony is, if you would just take the time to think about the economics then you would understand that there’s absolutely no need for paywalls or ads. if we used donations to determine the supply of forum categories then this would generate more than enough revenue, and it would give you the wonderful opportunity to politely prove that you’re genuinely interested in a topic.
because as it is, currently you just sound entitled. as if you paid for my lecture on fig hybridization and you want a refund because i discussed too many tangential topics. i worked seriously hard to gain my considerable knowledge on fig hybridization. and i’ve been endeavoring to do my very best in this thread to freely share it by answering every question that everyone here has asked me. but rather than be appreciative of my time, effort and expertise, and asking me your own questions about fig hybridization, you’re annoyed because i’ve also addressed people’s relevant economic questions.
you want to bury your head in the sand and pretend that supply and demand isn’t relevant to everything and anything useful and important in life, then my threads are not the threads you’re looking for.
after watering, i took my meager supply of pollen, which came from 3 small yellow male figs of ficus johannis (but probably a hybrid with carica), that i got from a friend, who i now feel extra indebted to, and injected it with some water into various other figs. 1st was ficus aspera, the clown fig. it used to be super expensive, which motivated lots of people to propagate it, so now it’s abundant and cheap.
The increase of demand, besides, though in the beginning it may sometimes raise the price of goods, never fails to lower it in the run. It encourages production, and thereby increases the competition of the producers, who, in order to undersell one another, have recourse to new divisions of labour and new improvements of art which might never otherwise have been thought of. The miserable effects of which the company complained were the cheapness of consumption and the encouragement given to production, precisely the two effects which it is the great business of political œconomy to promote. - Adam Smith, Wealth of Nations
the aspera figs are the size of cherries but not very satisfying to try and pollinate because the cavity is on the small size. the process was more work because it was dark so i was holding my phone flashlight with one hand and the syringe with the other. after i pollinated each fig i put an organza bag over it. the previous attempt i couldn’t remember which figs i pollinated. not holding my breath. ficus aspera is in the subgenus sycidium, same as opposita. but unlike opposita i haven’t had any luck grafting aspera onto carica.
next up was a ficus tannoensis that’s been happily growing grafted on a carica for more than a year…
small figs but a relatively large cavity so moderately satisfying to pollinate. the largest was starting to color and somehow didn’t have any cavity so i’m extra skeptical that i successfully pollinated it. since the female flowers are in the inside of the figs it’s impossible to tell when they are open. a nice continuum of fig sizes (maturity) makes it possible to hedge my bets. hedging bets is the #1 plant rule. tannoensis is in the same subgenus as carica so it would be strange if it wasn’t cross-compatible with carica, given that…
- ficus erecta is in the same subgenus as carica, and they are cross-compatible despite being graft-incompatible.
- pumila and auriculata are in a completely different subgenus than carica but they are cross-compatible with it.
can i get an amen @Richard? i’m guessing not.
next was another species that’s also been happily growing grafted onto carica for a year… ficus aff heterophylla (looks nothing like heterophylla to me)…

whatever it is, i really like how it looks. unfortunately the pollination attempt with its only fig didn’t go so well. but there’s one fig remaining from a previous attempt so that’s a good sign.
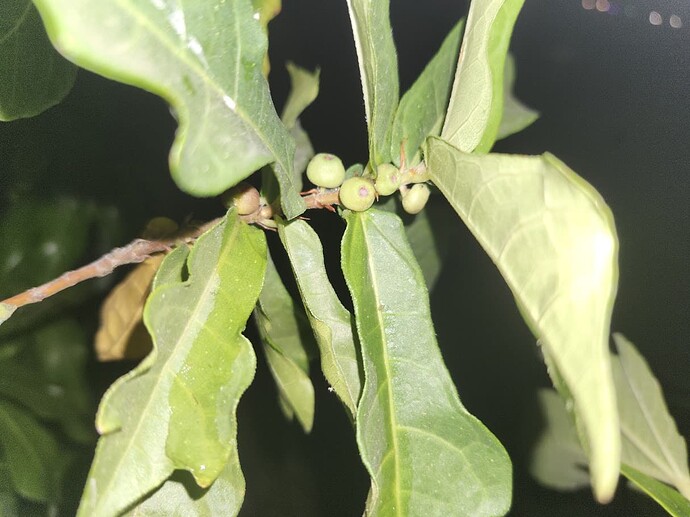
i’m very hopeful and optimistic about this species…

ficus vaccinioides. from the san marcos growers website…
This plant comes from slopes of shoreline thickets and exposed sea shore rocks in Southern Taiwan. The specific epithet is a reference to the genus of the blueberry, Vaccinium so means “blueberry-like” because of the small dark fruit and for this reason another common name is Blueberry Fig.
last but not least was good ole ficus opposita. small figs but pretty satisfying to try and pollinate.
actually i had a bunch of leftover pollen water in the syringe, which was kinda frustrating. i can’t decide if it’s better to have a surplus or shortage of pollen water. looked around for a carica to pollinate. thought of my “unknown pastiliere” which i got specifically because it’s a smyrna fig which would mean it would have a huge cavity, unlike “common” (hate that term) figs. i cut open a small green fig…

sheesh. seeds but nowhere near ripe. that’s why i vastly prefer using carica as the pollen donor, rather than the pollen recipient.
this is my 3rd or 4th ficus hybridization attempt. the weather here in socal is starting to get chilly so i don’t think anything will come of this attempt. but evidently the opportunity cost wasn’t too high. today i harvested a couple perfectly ripe figs filled with seeds, as a result of my previous pollination attempt. it’s my 2nd time successfully crossing this species with carica. i have several small seedlings growing which are obviously hybrids, the very 1st of their kind.
when the hybrid seedlings are a bit larger i’ll freely share the results on a forum. this forum? hah. what comes to mind is the bible passage about not casting pearls before swine. darn, do i need to create a new topic if i want to reference the bible? what a joke.
you want an abundance of free and good information about fig hybridization. so do i. the difference is that i don’t irrationally believe that an abundance of good things magically happens by snapping your fingers or clicking the “like” button. life doesn’t work that way. economics doesn’t work that way. the most basic requirement is sacrifice.
If a woman told us that she loved flowers, and we saw that she forgot to water them, we would not believe in her “love” for flowers. Love is the active concern for the life and the growth of that which we love. Where this active concern is lacking, there is no love. — Erich Fromm, The Art of Loving
watering is a sacrifice, and it helps to supply an abundance of flowers, and more importantly, fruit. fruit is a tangible good, unlike fruit information, but this doesn’t make information somehow exempt from the rules of economics. if we want an abundance of information about fig hybridization then sacrifice is just as necessary. not by paywall but by donation. whichever category people donate the most money for should be at the top of the forum where it will receive the most attention. all fruit info should be free to access but costly to promote.
Best of luck with your pollination attempts!
Feel free to share the results if doing so will bring you joy. If sharing your results makes you unhappy, then don’t feel obliged.
This forum is full of people who enjoy sharing what they learn and what they do. That’s why we’re here. Don’t get your feathers ruffled if that isn’t your thing.
I apologize to members of this forum for the off-topic post, but want to attempt to put this finally to bed.
Epiphyte,
Just a few points to hopefully put this to rest.
First, Scott has stated he is not interested in using donations to decide policy on the forum. He stated that clearly the last time you broached this subject.
https://growingfruit.org/t/ai-text-donate-to-decide/63665/6
That topic is now in the Lounge. Lounge access is available to those who are the more active members of the forum. Note that Lounge access can’t be purchased through donations. That’s the way this forum works. It’s not purely capitalistic because the owner who owns it has decided he doesn’t want to run the forum via laissez faire capitalism.
You should easily understand this because capitalism dictated he is the owner, by virtue of his own capital and time to start the forum. He gets to decide.
It sort of reminds me what I frequently told my children when they were younger. They would sometimes want to “vote” on a family decision which involved them. My famous line to them was, “This is not a democracy, this is a dictatorship.” Their young brains could understand that, even if they didn’t like it.
Do I believe in Democracy/Representative Republic? Of course. But my wife and I suffered to bring those children in this world. Sacrificed to feed, clothe, and educate them. You might kind of say we “paid” for them, while they contributed nothing other than their existence. So while I’m a proponent of Democracy, as the best form of government, I recognize it has limitations in universal application.
Secondly, even if the forum were to be run the way you suggest, I see no means of administrating it to the satisfaction of the general membership. (This is a rhetorical point I’m making here. Really not looking for an answer, since Scott has already made the policy clear.) But I continue.
Scott would essentially be “selling” the decision making to anyone with a few dollars. One person wants their own category for figs, another wants one for tomatoes, another for peaches, another for durian, etc. etc. Eventually the multitudes of categories would drive people away.
Then there’s where to draw the line? Scott could sell any part of the decision making for $$. Someone wants their category to appear at the top of the list in LARGE BOLD lettering. Why not sell that?
In fact, if money is the only means for decision making, why not sell a small ad? It could be a small discrete ad put at the bottom of the page. Then someone wants a bigger ad, and pays more. In the end we see blasts of ads just like Houzz, which this forum essentially replaced.
Again, I’m a capitalist. But I also recognize capitalism has limitations in universal application.
Imagine if a group of friends ran their friendship like a capitalist group. The wealthiest one would always get his/her way. Pretty soon the poorer members of the group would tell the wealthy one where he/she could take his/her money.
I can only imagine if a marriage were run that way. “Honey, I’m in the “mood.” Here’s five bucks. Go put that sexy nightie on.” Try that next time you are ready for some “lovin” from your spouse, and let me know how that works out.
Or better yet, video tape the moment. I might pay $5 to see that. ![]()
Your post reeks of entitlement.
… after staring at this photo, doing the googling, and reading your description on it…
Bro that’s a straight up blueberry ![]()
not a figgy blueberry as you’re claiming it to be. Stems and leaf growth along with fruit says blueberry.
Why you tryna bullsh. everyone on this ![]()
![]()
![]()
![]()
Did you just stick a cranberry in a fig, cut it in half, and try to say you pollinated it?


