Insect and Disease Identification Thread

On your apples. The first pic, sooty blotch is the area toward the calyx end.

The second apple looks like bitter pit. Actually both apples appear to suffer bitter pit.

7 Likes

On the grapes that looks closer to anthracnose. Immunox is supposed to be effective against that fungus, there are more effective products but Immunox is readily available. Should be fine to eat but I am definitely not medically trained… Try to prune out any infected overwintering canes.

2 Likes

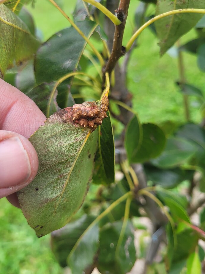
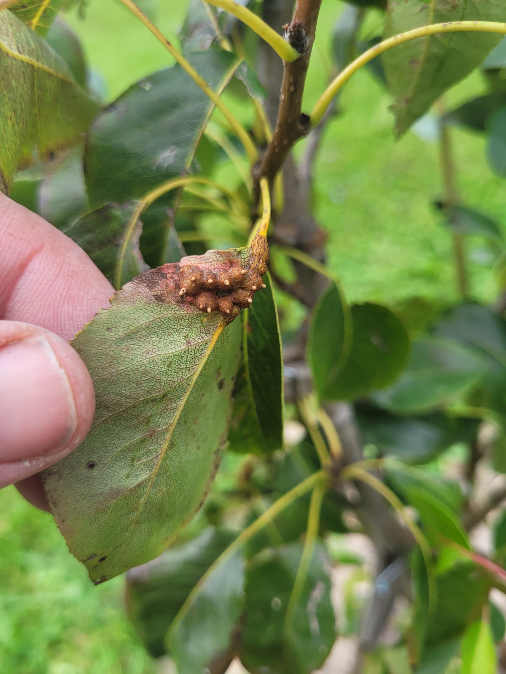
Back again for a pear tree. Harrow Sweet. Harrow crisp 15 feet away has nothing like these. I’m guessing pear rust and maybe fabraea leaf spot with the black spots? This year was rough as I didn’t get a chance to spray much of anything and it’s showing.


2 Likes

i didn’t even spray my mountain ash/ pear with all this rain this summer and its completely clean. yet i sprayed my sour cherry 4xs and still got brown rot near harvest time. maybe the mountain ash imparted some resistance to the pear grafts.

1 Like

Ugh, my cherry doesn’t look good.
Uploading: IMG_4082.jpeg…
Uploading: IMG_4083.jpeg…
Processing: IMG_4086.jpeg…
Uploading: IMG_4085.jpeg…
Uploading: IMG_4084.jpeg…

1 Like

Colleen
Your pics are not uploaded.

1 Like

Many disease threads. I picked this one.

I know as the season changes, trees stop giving resources to their canopy. Besides changing color (running out of chlorophyll), leaves can look a bit ratty before they drop.

I have two new kinds of stone fruit in my yard this year. Can someone help with identifying the symptoms on these? I think the two fruit trees are seeing the same issue.

Thanks.

First photo is of a Geneva Mirabelle plum.

The second two are a Minnie Royal cherry.


One of my 2 year old trees has woolly aphids. There aren’t a ton, but I want to get rid of them. Since the tree is small, can I just manually remove and destroy them (bucket of soapy water)? Any subsequent concerns to look out for?

I just squish them with my fingers…

2 Likes

@wdingus Ok that works, too!

1 Like

I sprayed woolly aphids with neem oil mix mid summer and they are long gone!

2 Likes

I use the same thing on woolly aphids. Make sure I spray it all in case I do not see where they are all hiding.

1 Like

@ukie @MikeC Thank you, that’s good info. I do have proper neem on hand. These guys just showed up over the last week…I was kind of surprised since it will be freezing soon.

2 Likes


Peach above^



Cherry: I cut most of this out. But need to do more as I see more sap.

I have been having an ā€œoddā€ problem this year indoors and in the greenhouses. Some sort of fungus or bacterial disease. I had originally written it off due to our more rainy and humid weather, but recently I see the same symptoms on some cucumber plants I am starting in the house under lights (so not really effected by the higher humidity in the GH).

Symptoms are plants initially are doing well, then they start to loose vigor, leaves turn a bit yellow, then brown spots on the leaves which grow taking over most or all of the infected leaves. Not all leaves get it. I have tried copper (Kocide 3000) spray with little success. Here is a pic of the cukes I was starting inside which seem to be contracting this. Anyone have any ideas what it could be, and how to cure it?

Colleen,
Your peach bark, could the cause of the split possibly be a freeze and thaw issue or a southwest injury?

I had peach trees with serious cracking on scaffolds and the trees lasted several more years.

Your cherry, it looked liked bacterial canker. Sometimes a tree heals itself. Other time it kills the tree.

I never cut any branch if due to canker. I try to avoid causing open wound esp. on cherry trees in our wet weather.

I think I’m pulling this tree out, but wanted to post.

This tree grew reasonably well this summer after being planted on 4.19.23.

First photo at its healthiest look.

Second photo and video are from today. Large sections of some of the scaffolds have a dark, wet look. The string in the video is caked in from an earlier sap flow in the little crotch.

Earlier in the year some branches showed that dark look spreading from the petiole base of leaves. I ended up cutting those out. Can’t find the photos.

When I read about the symptoms of canker, this matches; however, the time and conditions of development doesn’t.

From reading cool and wet is the environment canker shows up in. For me it was the middle of hot, dry summer.

Lastly you can see new growth from just above the graft.

Minnie Royal on Maxma 14.

1 Like

I ended up yanking out this tree. It obviously was having issues. It’s shenanigans made my decision easy as it’s in a spot I can plant a new tree I’ll graft this coming spring with one of my new Rootpac-R rootstocks.

Good news the roots looked good and no sign of any below ground issues.

1 Like

If I weee you I would cut it back and then try it in a pot. It may surprise you…since the roots look solid. I would maybe try a grow bag instead of a traditional pot. The few trees in my temporary 10 and 15 gallon grow bags have really impressed me how well they have done. They may get to stay there. I just drag my grow bags to move them on a folded in half tarp. Hold two corners and you get a ton of leverage for the smooth drag.

Or a half filled garbage can w wheels built in. So you can move it at your convenience to a covered area during a monsoon or hurricane.

1 Like

I did think of something like that, but I’m more of an out with the old, in with the new person. I have a limited amount of area to work. I have numerous better rootstock ready for new trees I’m planning to graft.

Im fine with things not working out for my trees as I learn.

1 Like