Hi. There are several varieties that are called sweet lemons. Usually its a lemon or acid like lemon citrus that lacks the acidity, só the sweetness of the few sugar that exists comes up.
Usually its a lemon that you can eat.
I think this is other variety…



Ma Dou Wendan pomelo


This i think its Citrus Depressa - Shikuwasa



Special grapefruit they have in Taiwan… i think




Another pomelo…



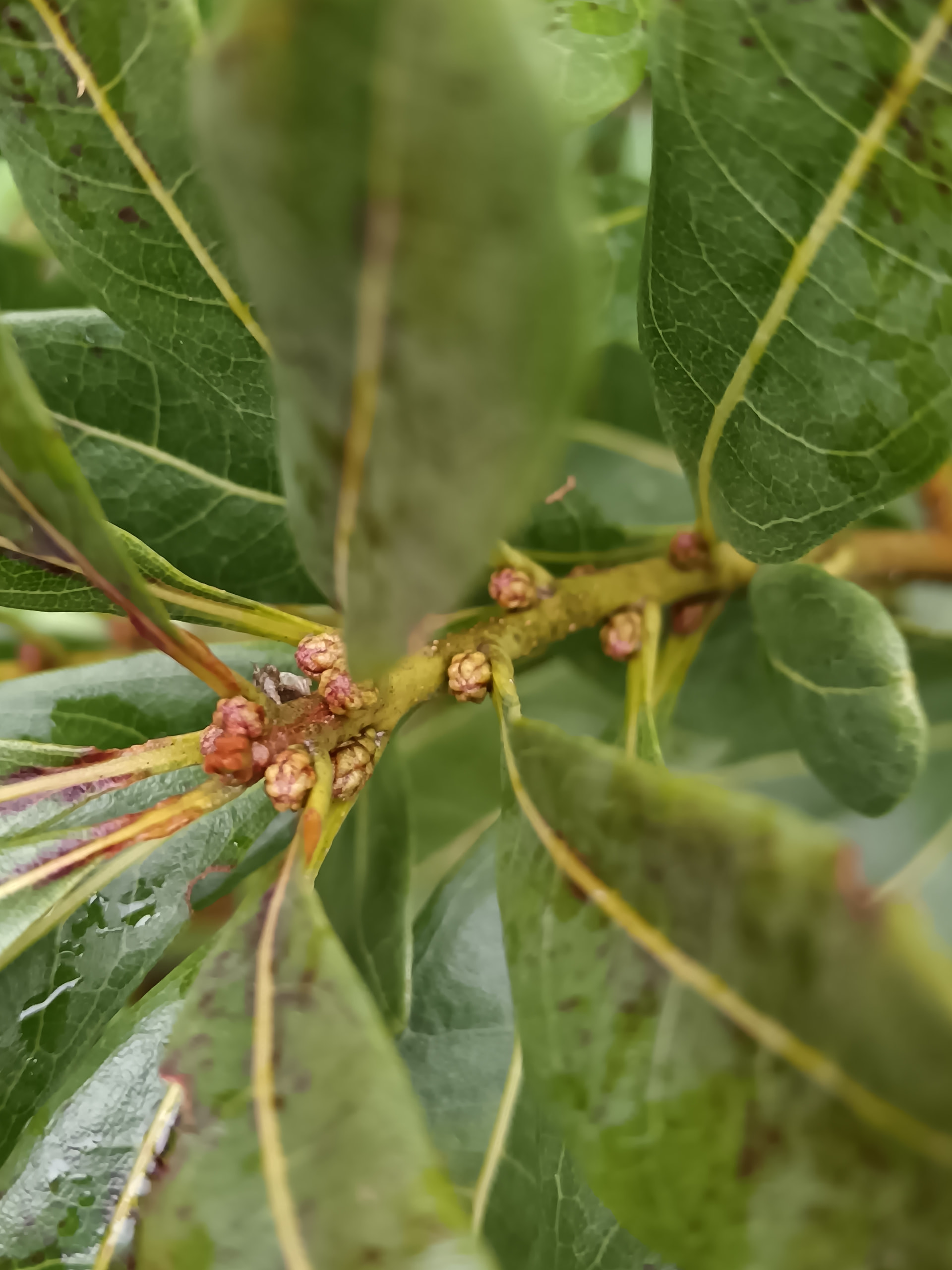
And this is for sure citrus Ujukitsu… sweet lemon as they say



Hello Luis, It is nice to find some people from Portugal. I am from Estarreja.
Was reading another post and this one showed in the bottom of the page. And what a great find. Really nice trees you have there, great species and diversity.
I started my orchard last year. I am planning what I am adding this year and saw you have nijiseiki and shinseiki. Have you tried both yet? which one do you like the most?
I planted a Kumoi last year and I am gooing to plant a Hosui this year and one of those two. I will try to add a korean giant when I find one also.
Thanks in advance and keep up that good work
Hi. Thank you very much for your kind words! Good luck for your adventure on planting fruit trees… its a bug that will not abandon you anymore! Regarding the nashi trees my shinseiki turned to be fake but i think a nijiseiki will not turn you down…
I already have that felling. I was updating my files and I’m already near 100 fruit trees mark. What was I thinking when I decided this was a good idea? ![]()
Thank you.
Meanwhile I was scrooling this thread and saw you have jabuticabas (and many other interresting things: those peachs look just amazing). Can you bear jabuticaba fruit outside (without protection)? I read the fruit is very good but never saw it for sale (fruits) and thought it could be a good tree to add, but on the other hand, I do not know any adult trees bearing fruit in Portugal. Is it possible? Do they develop well here?
If you are on Estarreja you can grow jaboticabas, no problem. Whats your min temp? You get frequent frosts? Light or heavy?
Minimal temp usually dont go bellow 0 °C and on average during winter they stay above 4-6 °C. There are some light frosts, but nothing too heavy.
I will look into those then, probably for next year. How many years do they need to grow untill bearing the first fruits?
Thank you
Then you don’t have any problem to plant tropicals, but always choose sheltered places with half sun and protected from main wind direction. It depends if it grafted or seedling. I can arrange them for you. We can talk by PM.
Stay safe. Almost looks like a hurricane.
I am living in the same area, but I am in The Netherlands now for family visits. So I don’t know about the situation on our land. We already had a lot of roofs that were on the brink of collapsing. So I fear it will be quite bad… ![]()
Still no power and comunications.






















