My small fruit tree orchard

I planted Kitaro, Taishu, Taiya, Yellow June, Liyu and Emperor. I already have Chinese Black and Tamopan persimmons.

Next ones Bao Gai, Taiten and Reigyoku. I hope to plant them in March or April.

3 Likes

My new muscadines are: Razzmatazz, Pam, Ison, Supreme and Ruby Crisp…

4 Likes

Variegated White Sapote

4 Likes

Dongkui flowers starting to open

5 Likes

Red Beaut plum and Splash pluot flowers

2 Likes

Mariposa and AU Rosa flowers

Tropical Sweet apple flowers

5 Likes

Variegated White Sapote

4 Likes

More plum flowers

5 Likes

Charodiyna pear and Man Pung asian pear starting to flower

4 Likes

Golden edge Edge jaboticaba tree sprouting

3 Likes

Man Pung asian pear flower buds

2 Likes

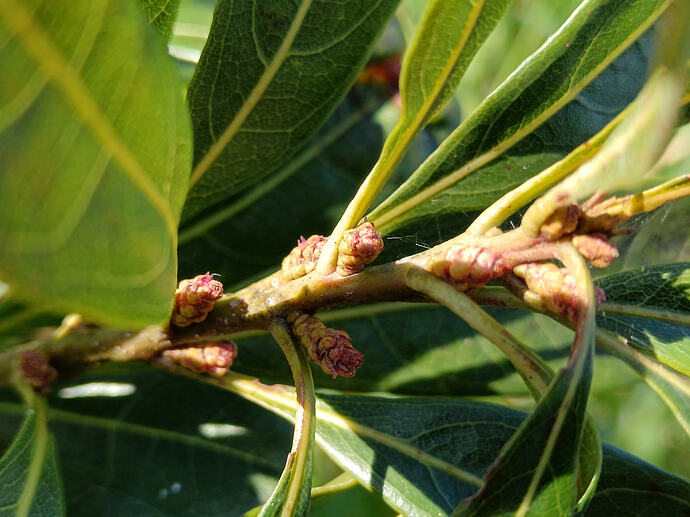
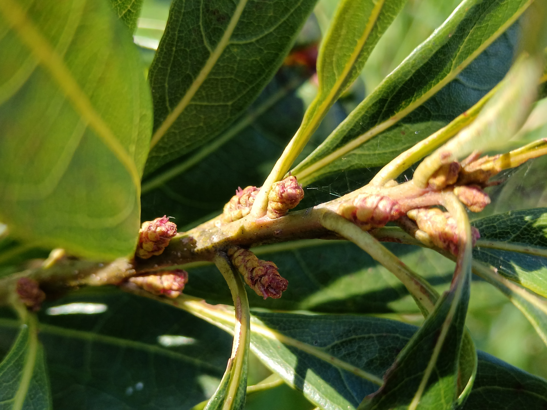
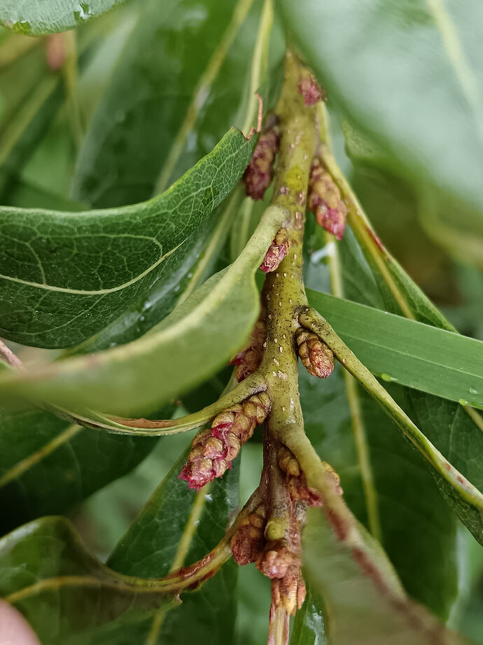
Dongkui yangmei flowers buds

4 Likes

Which Che variety is that one Luis?

1 Like

Hi. I really dont know. When i buy it just said seedless che.

1 Like